Nom français: Coulure bactérienne
Nom anglais: Bacterial canker
Crédit photo: Laboratoire d'expertise et de diagnostic en phytoprotection - MAPAQ
Légende: Tache causée par la coulure bactérienne sur le fruit d'un cerisier nain rustique.
Crédit photo: Kévin Lanoue-Piché - Cultur'Innov
Légende: Chancres et gommose causés par la coulure bactérienne sur une branche charpentière de cerisier nain rustique.
Description: Sur cette photo, on remarque que les symptômes de la coulure bactérienne sont abondants. Les nouvelles pousses et les bouquets floraux infectés sont flétris et brunis. Les fleurs restent accrochées à la tige. 
Crédit photo: Françoise Rodrigue - Cultur'Innov
Légende: Plants de cerisier nain rustique fortement atteints par la coulure bactérienne.
Description: Sur cette photo prise à la fin du mois de juin, on observe des taches causées par la coulure bactérienne sur les feuilles d'un cerisier nain rustique. Au début, elles sont jaunes (chloroses), puis elles se nécrosent et se détachent du limbe. 
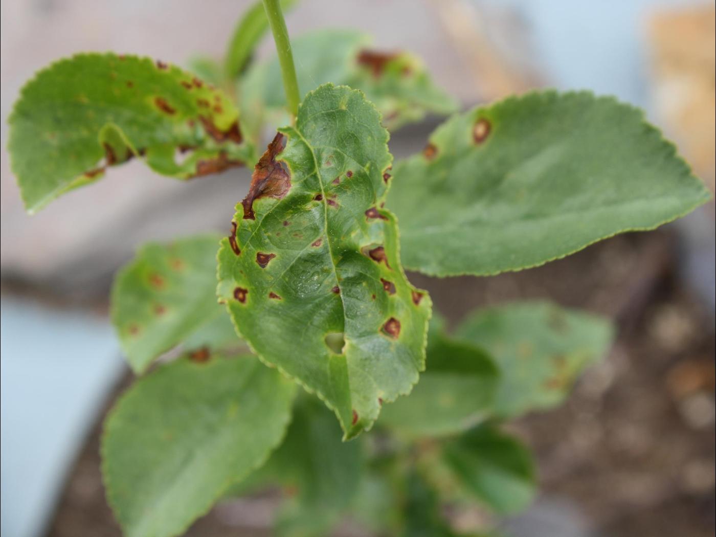
Crédit photo: Caroline Turcotte - MAPAQ
Légende: Taches causées par la coulure bactérienne sur les feuilles d'un cerisier nain rustique.
Crédit photo: Kévin Lanoue-Piché - Cultur'Innov
Légende: Flétrissement des tiges et des fleurs causé par la coulure bactérienne.
Description: On remarque sur la photo une forte pression de la bactérie Pseudomonas syringae sur les nouvelles pousses et les bouquets floraux du cerisier nain rustique. Les fleurs sont flétries et brunies, mais restent accrochées à la tige.
Crédit photo: Caroline Turcotte - MAPAQ
Légende: Fleurs de cerisier nain rustique infectées par la coulure bactérienne.
Crédit photo: Caroline Turcotte - MAPAQ
Légende: Tache causée par la coulure bactérienne sur le fruit d'un cerisier nain rustique.
Description: Sur ce cerisier des oiseaux (Prunus avium), les bourgeons floraux sont desséchés et brunis à cause d'une infection par Pseudomonas syringae, responsable de la coulure bactérienne.
Crédit photo: Laboratoire d'expertise et de diagnostic en phytoprotection - MAPAQ
Légende: Mort des bourgeons floraux d'un cerisier des oiseaux, à la suite d'une infection par la coulure bactérienne.
Cerise - Coulure bactérienne (Pseudomonas syringae pv. syringae)
Cerise - Coulure bactérienne (Pseudomonas syringae pv. syringae)
Cerise - Coulure bactérienne (Pseudomonas syringae pv. syringae)
Cerise - Coulure bactérienne (Pseudomonas syringae pv. syringae)
Cerise - Coulure bactérienne (Pseudomonas syringae pv. syringae)
Cerise - Coulure bactérienne (Pseudomonas syringae pv. syringae)
Cerise - Coulure bactérienne (Pseudomonas syringae pv. syringae)
Cerise - Coulure bactérienne (Pseudomonas syringae pv. syringae)
Description

La coulure bactérienne (ou chancre bactérien) est régulièrement observée dans les vergers de cerisiers nains rustiques au Québec. Cette maladie, causée par la bactérie Pseudomonas syringae, affecte de nombreux arbres fruitiers à noyaux : cerisiers, pruniers, pêchers, abricotiers, etc. Sa sévérité varie d’une année à l’autre, selon les conditions climatiques. Les printemps frais et humides sont favorables à la coulure bactérienne, tout comme le sont les gels printaniers qui affectent les fleurs. Dans les vergers en production, les pertes engendrées par P. syringae sont souvent limitées à une diminution des rendements causée par un dépérissement des pousses et des bouquets floraux. Toutefois, lorsque la maladie n’est pas maîtrisée, les cerisiers développent des chancres au niveau des tiges et du tronc, ce qui affecte leur vigueur et leur sensibilité au gel. Dans les jeunes plantations et chez les variétés plus sensibles, comme Crimson Passion et Romeo, la bactérie cause des retards de croissance importants et, parfois, la mort des plants.

Cycle vital

Hiver : La bactérie Pseudomonas syringae hiverne à la marge des chancres, dans les bourgeons et dans les feuilles infectées. Elle peut également se loger de manière systémique à l'intérieur des cerisiers sans que ces derniers montrent de symptômes. L’hiver, l’expansion des chancres ralentit.

Printemps : Au printemps, la bactérie se multiplie abondamment durant les périodes prolongées de temps froid et de pluie ou d’humidité relative élevée. Lorsqu’elle est présente dans les bourgeons dormants, elle infecte les fleurs et les feuilles lorsqu’elles émergent, et cause le flétrissement des pousses et la brûlure des fleurs. Les chancres déjà présents reprennent leur expansion si aucune intervention n’est faite.

Été : La bactérie peut causer des taches sur les feuilles et sur les fruits durant les mois d’été. Toutefois, au cours des périodes chaudes et sèches, les populations de bactéries sont à leur plus bas niveau.

Automne : À l’automne, lorsque les températures se rafraîchissent et que l’humidité s’installe, les bactéries se multiplient abondamment dans les tissus infectés. Des masses de bactéries sont dispersées dans l’environnement lors d’épisodes de pluie et de vent. Les bourgeons nouvellement formés sont infectés soit par les écailles, soit par les cicatrices foliaires, c’est-à-dire les lésions laissées par les pétioles lors de la chute des feuilles. La bactérie pénètre aussi les cerisiers par des blessures de taille. La plupart des nouveaux chancres apparaissent à l’automne.

Symptômes et dommages

Bourgeon : Absence de débourrement causé par la mort des bourgeons. Ils sont secs, brunis, et présentent parfois de la gommose. D’autres débourrent normalement, mais les pousses qui en émergent au début de l’été flétrissent et se dessèchent, tout comme les fruits.

Feuille : Sur les jeunes arbres qui ne fleurissent pas encore, les taches sur les feuilles sont généralement le premier symptôme observé. De petites lésions brunes entourées d’un halo jaune apparaissent et se regroupent pour former de plus larges zones nécrosées. Les taches se détachent et tombent, laissant des trous dans les feuilles. Sur les jeunes arbres qui ont une croissance active, les feuilles prennent souvent un aspect fripé. En revanche, sur les arbres matures, les feuilles ne présentent généralement pas de symptômes.
 
Fleur : Les nouvelles pousses et les fleurs infectées flétrissent, pâlissent et finissent par brunir. Les bouquets floraux restent accrochés à la tige. Ce symptôme est facile à observer au printemps, peu après la floraison. 
 
Fruit : Petites lésions brunes et sèches à la marge bien définie. Les zones affectées sont légèrement déprimées.
 
Tige : Les chancres sont le symptôme le plus caractéristique de la maladie. Ils peuvent se développer sur les tiges, à la base des bourgeons, près des plaies causées par la taille ou à la base des rameaux infectés. Les chancres causés par P. syringae forment une zone brun foncé ou noire sur l’écorce, qui parfois se fendille. La couleur des tissus internes varie d’orangé à brunâtre, et des stries s’étendent jusque dans les tissus sains, au-dessus et au-dessous du chancre. 
Les chancres qui se forment sur les branches charpentières et sur le tronc sont généralement associés à la présence de gommose, un exsudat collant qui suinte de l’écorce au printemps. Certains peuvent s’agrandir de façon importante, ceinturer les branches et le tronc, et causer le dépérissement de l’arbuste. Les cerisiers qui cumulent plusieurs chancres dépérissent rapidement.

Ne pas confondre

La présence de trous dans les feuilles peut prêter à confusion avec la brûlure corynéenne (ou criblure du cerisier), causée par le champignon Wilsonomyces carpophilus. Bien que cette maladie soit peu répandue au Québec, il est recommandé de faire appel à un laboratoire spécialisé pour identifier correctement l'agent pathogène en cause.

Au printemps, lorsque les bouquets floraux brunissent et que des nécroses apparaissent progressivement sur les tiges, les symptômes de la coulure bactérienne peuvent être confondus avec ceux provoqués par une infection fongique précoce par Monilinia sp., l’agent responsable de la pourriture brune. Généralement, la pourriture brune apparaît plus tard dans la saison que la coulure bactérienne, et souvent, un duvet brun grisâtre se développe à la surface des fleurs et des tiges infectées. Ce n’est pas le cas pour les infections à Pseudomonas syringae.

Méthodes de lutte

Diverses pratiques préventives sont recommandées pour freiner la maladie. Par exemple, il est recommandé d’effectuer la taille de formation au début du printemps, avant le débourrement, lorsque le temps est sec et que la température se situe près du point de congélation ou légèrement au-dessus. Toutefois, il n’existe pas de consensus absolu. Selon certaines références, la maladie serait moins présente dans les vergers où les cerisiers sont taillés immédiatement après la récolte. On s’abstient également de tailler les cerisiers à l’automne ou après le débourrement au printemps, lorsque la bactérie est très active. Pour aider à diminuer l’inoculum de la bactérie, il est possible durant l'été d'enlever toutes les branches mortes et les tiges flétries en taillant dans le bois sain. Il faut retirer les branches et arbres morts du verger et les détruire.