La tache pourpre est une maladie commune chez le fraisier et le champignon Diplocarpon earlianum n’affecte que la fraise. La tache pourpre est souvent observée en association avec la tache commune, mais elle est moins dommageable que celle-ci. Elle affecte surtout la qualité esthétique des plants et ne cause pas de dommages importants sauf lors de fortes infestations. Dans ces cas, les plants affectés résistent moins bien aux rigueurs de l’hiver, à la sécheresse et les rendements diminuent. Les cultivars Kent, Wendy et Micmac sont particulièrement sensibles. Les fraisières de troisième année sont plus vulnérables à cause de l’abondance de débris végétaux et de taches pourpres sur le vieux feuillage.
Le champignon hiverne sous la forme d’apothèces et d’acervules sur le feuillage du fraisier et les résidus de feuilles infectées. Les acervules peuvent demeurer dormantes de longues périodes sur les feuilles sèches, mais matures rapidement lors de périodes humides. Au printemps, les apothèces germent et libèrent des asques qui contiennent les ascospores. Elles sont dispersées par les courants d’air. Les acervules libèrent des conidies par temps humide et sont dispersées par l’eau (pluie, éclaboussures, rosée ou irrigation par aspersion). Les conidies germent entre 20 et 25 °C et nécessitent une période de mouillure variant entre 6 et 9 heures. Il n’y a qu’une génération d’ascospores par année, mais plusieurs générations de conidies.
Les feuilles âgées de 14 à 17 jours sont les plus sensibles, contrairement aux jeunes et aux vieilles feuilles. Le champignon pénètre dans la feuille par la cuticule. Les infections se produisent entre 10 et 30 °C, avec un optimum entre 15 et 25 °C. Le feuillage doit demeurer mouillé durant au moins 12 heures pour que les infections se produisent. Les symptômes apparaissent 6 à 15 jours après l’infection et les acervules sont matures 10 à 25 jours après l’infection. Les infections se produisent au début du printemps ou de la mi-aout jusqu’à la fin septembre. La maladie est plus sévère à l’automne qu’au printemps.
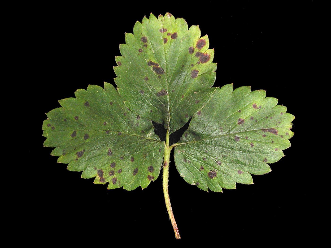
Les taches foliaires sont sans contredit le symptôme le plus important de cette maladie. La tache pourpre affecte également le pétiole des feuilles, le calice, les fraises et les stolons, mais à un degré moindre.
Feuille : présence de nombreuses taches irrégulières, rouges à pourpres, de 1 à 5 mm de diamètre, à la face supérieure. À mesure que la maladie évolue, des fructifications noires (acervules) apparaissent sur les taches. Lorsque les taches augmentent en taille et en nombre, elles causent un brunissement du limbe, une marge en forme de cuillère, puis un dessèchement des feuilles qui prennent un aspect roussi.
Pétiole : taches ou lésions déprimées, rouges à brunes et de forme allongée. À un stade plus avancé, les lésions entourent le pétiole et la feuille meurt.
Fleur et fruit : sur les sépales, présence de taches pourpres de forme allongée. Lors de fortes infestations, brûlure des sépales à la marge et/ou à l’apex suivi d’un flétrissement et de la chute des sépales.
Plant : lors de fortes infestations, les plants sont affaiblis, les feuilles sont plus petites, le nombre de collets est moindre et la vigueur des plants est affectée.
Sur les feuilles, la tache pourpre peut être confondue avec la tache commune (Ramularia brunnea – taches violacées avec un centre blanchâtre) et le blanc (Sphaerotheca macularis – présence d’un duvet blanc).
Sur les fleurs et les fruits, la tache pourpre peut être confondue avec une carence en calcium (brûlure de l’extrémité des sépales) et la moisissure grise (Botrytis cinerea – duvet grisâtre).
Pour contrer le développement de la tache pourpre dans les fraisières, il faut se procurer des cultivars résistants et du matériel végétal sain, travailler sur un sol bien drainé, assurer un bon espacement entre les plants pour une meilleure aération et prioriser l’irrigation goutte à goutte à celle par aspersion. Il faut éradiquer les mauvaises herbes, enlever et détruire les vieilles feuilles et le feuillage infecté lors de la rénovation. Protéger les jeunes feuilles avec un traitement fongique après la rénovation ou au début du printemps, avant la floraison, dans le but de diminuer le taux d’inoculum dans la fraisière. Les traitements fongiques visant à lutter contre la moisissure grise et la tache commune éradiquent en même temps la tache pourpre.
Lambert L., Laplante G. H., Carisse O. & Vincent C. (2007). La tache pourpre du fraisier. Dans Guide de maladies, ravageurs et organismes bénéfiques du fraisier, du framboisier et du bleuetier. CRAAQ (Centre de référence en agriculture et agroalimentaire du Québec) (Ed). p. 35-37.
Maas J. L. (Eds) (1998). Leaf Scorch. Dans Compendium of Strawberry Diseases. 2e éd. APS Press. The American Phytopathological Society Press, St-Paul, Minnesota. p. 19-20.
http://www.omafra.gov.on.ca/IPM/french/strawberries/diseases-and-disorders/leaf-scorch.html#advanced
http://www.fruit.cornell.edu/tfabp/strawleafscorch.pdf




