Identificateur
Dominique Hamel
Crédit photo
Laboratoire d'expertise et de diagnostic en phytoprotection - MAPAQ
Fournisseur
Manon Tardif
Photographe
Chantal Malenfant
Légende
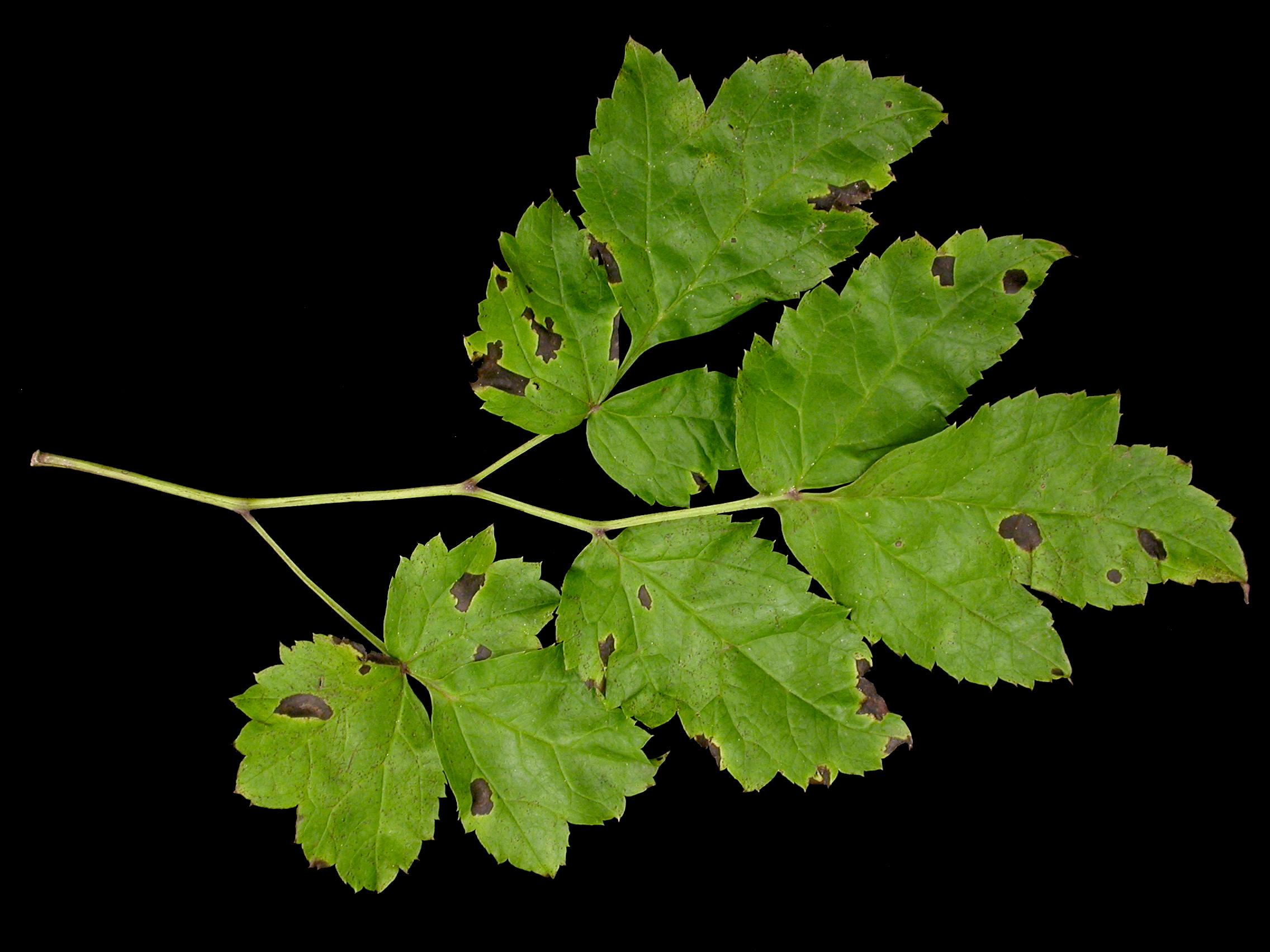
Taches angulaires sur feuilles de cièrge d'argent
Sur des feuilles de cièrge d'argent provenant d’un aménagement paysager, tous les niveaux de feuilles présentent des taches angulaires noires bordées d’un mince halo jaune. Les plants affectés sont jeunes et nouvellement transplantés. Les tests de laboratoire ont révélé la présence de la bactérie Xanthomonas sp., responsable de la tache bactérienne.