Identificateur
Dominique Hamel
Crédit photo
Laboratoire d'expertise et de diagnostic en phytoprotection - MAPAQ
Fournisseur
Laboratoire de diagnostic en phytoprotection
Photographe
Chantal Malenfant
Légende
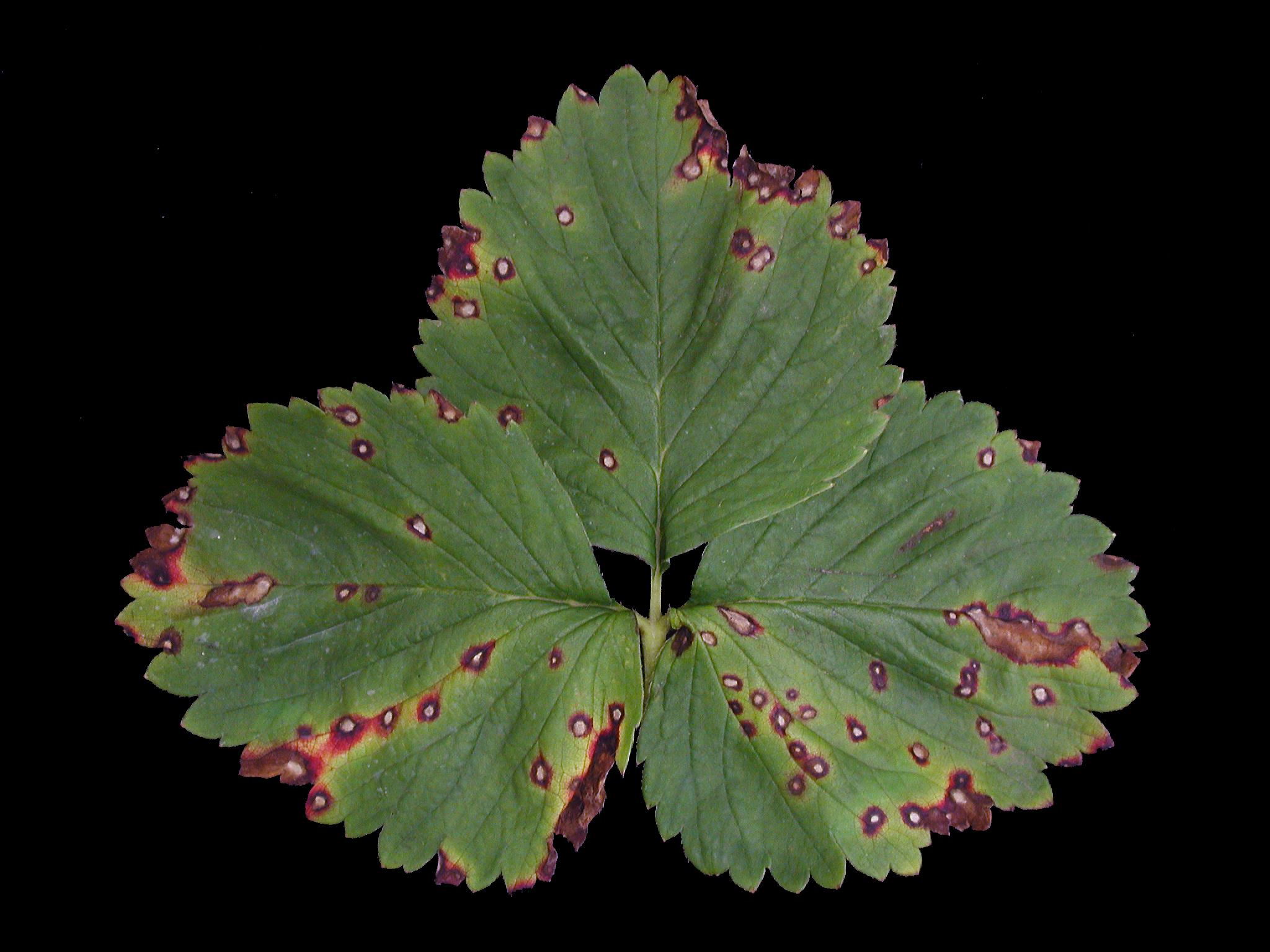
Taches pourpres avec un centre blanc sur feuille de fraisier
OrganisationFournisseur
Ministère de l'Agriculture, des Pêcheries et de l'Alimentation du Québec

Sur une feuille de fraisier, présence de taches pourpres à violacées avec un centre blanchâtre et une marge foncée. Les taches sont réparties aléatoirement à la face supérieure. Les tests de laboratoire ont révélé la présence du champignon Ramularia grevilleana (syn. Mycosphaerella fragariae), responsable de la tache commune chez le fraisier.