Identificateur
Michel Lacroix
Crédit photo
MAPAQ
Fournisseur
Laboratoire de diagnostic en phytoprotection
Photographe
Chantal Malenfant
Légende
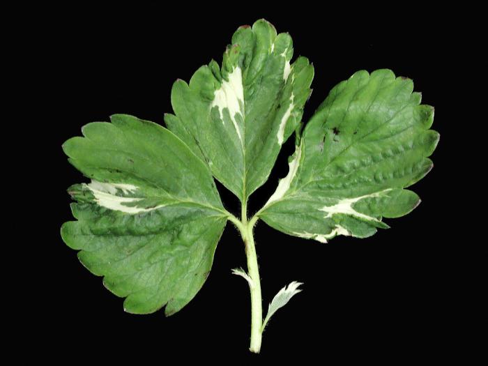
Stries blanches et roses sur folioles de fraisier
OrganisationFournisseur
Ministère de l'Agriculture, des Pêcheries et de l'Alimentation du Québec
Les folioles de fraisier présentent des stries blanches et roses près de la marge ou entre les nervures. Ce symptôme s’apparente à la jaunisse de juin, qui est un désordre génétique non infectieux chez le fraisier dont la cause et les tests de détection demeurent inconnus.