Identificateur
Michel Lacroix
Crédit photo
Laboratoire d'expertise et de diagnostic en phytoprotection - MAPAQ
Fournisseur
Consortium Prisme
Photographe
Chantal Malenfant
Légende
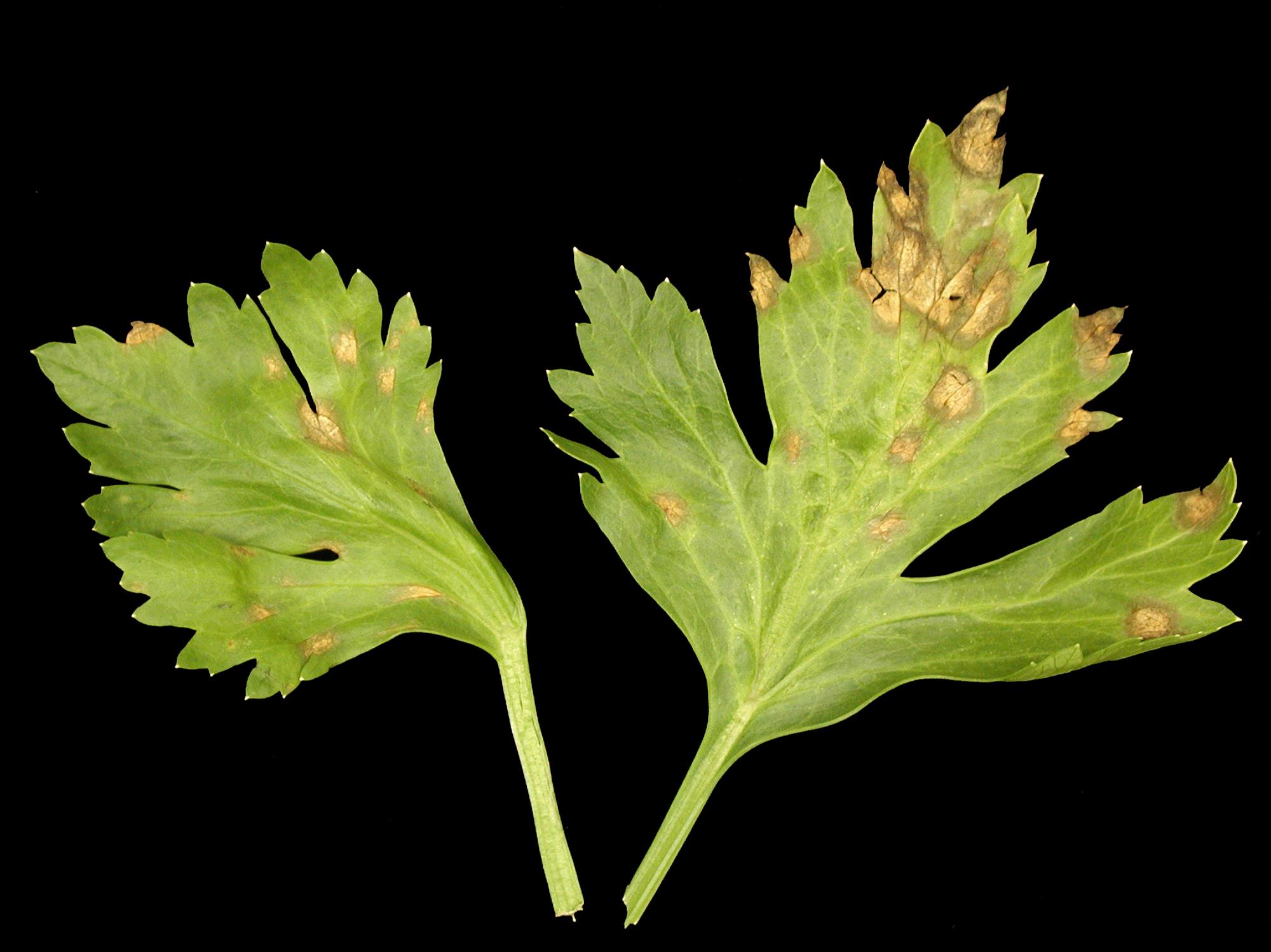
Taches sur folioles de céleri
OrganisationFournisseur
Consortium Prisme
Des folioles de céleri montrent des taches irrégulières beiges avec une marge légèrement plus foncée. Ces taches ont une dimension moyenne de 3 à 4 mm. En se développant, les taches se regroupent pour former de larges brûlures. Un léger halo peut border les taches. Les observations microscopiques ont révélé la présence du champignon Cercospora apii, responsable de la cercosporose chez le céleri. Les plants affectés sont distribués en foyer.