Description: Le premier symptôme observé sur les feuilles de fraisier est un jaunissement entre les nervures, suivi d’un brunissement et d’une brûlure. Les symptômes débutent à l’apex et à la marge des feuilles puis progressent sur le limbe. Ces symptômes sont causés par une phytotoxicité à l'herbicide terbacil (SINBAR), appliqué au printemps (11 mai), mais à une mauvaise dose.
Crédit photo: Christian Lacroix - Fertior
Légende: Brunissement progressant sur le limbe d'une feuille de fraisier
Description: Le premier symptôme observé sur les feuilles de fraisier est un jaunissement entre les nervures, suivi d’un brunissement et d’une brûlure. Les symptômes débutent à l’apex et à la marge des feuilles puis progressent sur le limbe. Ces symptômes sont causés par une phytotoxicité à l'herbicide terbacil (SINBAR), appliqué au printemps (11 mai), mais à une mauvaise dose.
Crédit photo: Christian Lacroix - Fertior
Légende: Brunissement progressant sur le limbe d'une feuille de fraisier
Description: Le premier symptôme observé sur les feuilles de fraisier est un jaunissement entre les nervures, suivi d’un brunissement et d’une brûlure. Les symptômes débutent à l’apex et à la marge des feuilles puis progressent sur le limbe. Ces symptômes sont causés par une phytotoxicité à l'herbicide terbacil (SINBAR), appliqué au printemps (11 mai), mais à une mauvaise dose.
Crédit photo: Christian Lacroix - Fertior
Légende: Brunissement progressant sur le limbe d'une feuille de fraisier
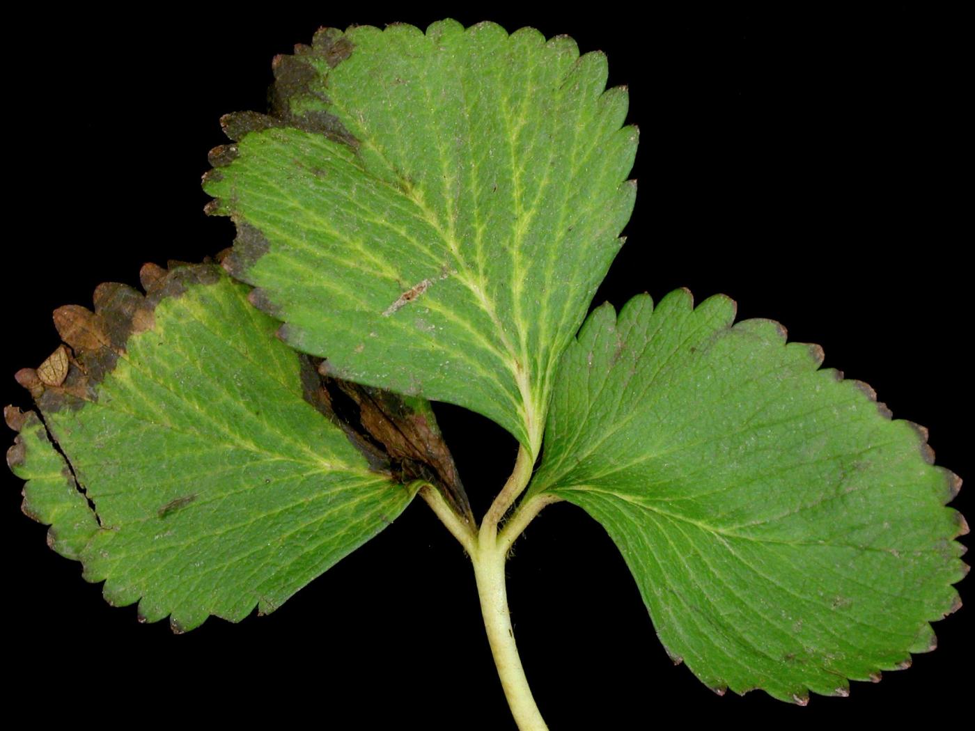
Description: Le premier symptôme observé sur les feuilles de fraisier est un jaunissement entre les nervures, suivi d’un brunissement et d’une brûlure. Les symptômes débutent à l’apex et à la marge des feuilles puis progressent sur le limbe. Ces symptômes sont causés par une phytotoxicité à l'herbicide terbacil (SINBAR), appliqué au printemps (11 mai), mais à une mauvaise dose.
Crédit photo: Christian Lacroix - Fertior
Légende: Brunissement progressant sur le limbe des feuilles de fraisier
Description: Les premiers symptômes observés sur les feuilles de fraisier (cv ‘Redcoat’) sont un jaunissement entre les nervures, suivi d’un brunissement et d’une brûlure. Les symptômes débutent à l’apex et à la marge des feuilles puis progressent sur le limbe. Ces symptômes sont causés par des résidus de terbacil (SINBAR) dans le sol. L'application de terbacil a été faite à l'automne et l'apparition des symptômes est survenue en juin de l’année suivante.
Crédit photo: Pierre O. Thibodeau - MAPAQ
Légende: Brunissement progressant sur le limbe des feuilles de fraisier
Description: Les premiers symptômes observés sur les feuilles de fraisier (cv ‘Redcoat’) sont un jaunissement entre les nervures, suivi d’un brunissement et d’une brûlure. Les symptômes débutent à l’apex et à la marge des feuilles puis progressent sur le limbe. Ces symptômes sont causés par des résidus de terbacil (SINBAR) dans le sol. L'application de terbacil a été faite à l'automne et l'apparition des symptômes est survenue en juin de l’année suivante.
Crédit photo: Pierre O. Thibodeau - MAPAQ
Légende: Brunissement progressant sur le limbe des feuilles de fraisier
Description: Les premiers symptômes observés sur les feuilles de fraisier (cv 'Annapolis') sont un jaunissement entre les nervures, suivi d’un brunissement et d’une brûlure. Les symptômes débutent à l’apex et à la marge des feuilles puis progressent sur le limbe. Ces symptômes sont causés par des résidus de terbacil (SINBAR) dans le sol. La feuille de gauche est typique d’une phytotoxicité par le terbacil. L'application de terbacil a été faite à l'automne et l'apparition des symptômes est survenue en juin de… En savoir plus
Crédit photo: Laboratoire d'expertise et de diagnostic en phytoprotection - MAPAQ
Légende: Jaunissement des nervures et brûlure du limbe des feuilles de fraisier
Description: Une feuille de fraisier du cv « Jewel » présente un début de jaunissement des nervures ainsi que des brûlures à la marge des folioles. Ces symptômes sont caractéristiques d’une phytotoxicité causée par le terbacil (SINBAR®), un herbicide ayant été appliqué au printemps dans la plantation. Le terbacil est homologué dans la culture de la fraise. L’étiquette spécifie que « la sensibilité à cet herbicide diffère selon les variétés de fraisiers...Une légère altération du feuillage peut se produire ap… En savoir plus
Crédit photo: Laboratoire d'expertise et de diagnostic en phytoprotection - MAPAQ
Légende: Feuille de fraisier avec jaunissement et brûlures
Description: Un plant de fraisier du cv « Jewel » présente un jaunissement des nervures sur quelques feuilles, ainsi que des brûlures importantes, qui débutent à l’apex et à la marge des feuilles puis progressent sur le limbe. Aussi, une partie de la masse racinaire est noirâtre. Ces symptômes sont caractéristiques d’une phytotoxicité causée par le terbacil (SINBAR®), un herbicide ayant été appliqué au printemps dans la plantation. Le terbacil est homologué dans la culture de la fraise. L’étiquette spécifie … En savoir plus
Crédit photo: Laboratoire d'expertise et de diagnostic en phytoprotection - MAPAQ
Légende: Plant de fraisier avec brûlures des feuilles
Description: Une feuille de fraisier du cv « Jewel » présente des brûlures sur les feuilles ainsi qu’un jaunissement à un rosissement des nervures. Ces symptômes sont causés par le terbacil (SINBAR®), un herbicide ayant été appliqué au printemps dans la plantation. Le terbacil est homologué dans la culture de la fraise. L’étiquette spécifie que « la sensibilité à cet herbicide diffère selon les variétés de fraisiers…Une légère altération du feuillage peut se produire après l’application de l’herbicide ».
Crédit photo: Laboratoire d'expertise et de diagnostic en phytoprotection - MAPAQ
Légende: Feuille de fraisier avec jaunissement et brûlures des feuilles
Description: Des feuilles de fraisier du cv « Jewel » présentent d'importantes brûlures (feuille de droite) ainsi qu’un jaunissement à rosissement des nervures. Ces symptômes sont causés par le terbacil (SINBAR®), un herbicide ayant été appliqué au printemps dans la plantation. Le terbacil est homologué dans la culture de la fraise. L’étiquette spécifie que « la sensibilité à cet herbicide diffère selon les variétés de fraisiers…Une légère altération du feuillage peut se produire après l’application de l’her… En savoir plus
Crédit photo: Laboratoire d'expertise et de diagnostic en phytoprotection - MAPAQ
Légende: Feuilles de fraisier avec jaunissement et brûlures
Description: Une feuille de fraisier du cv « Jewel » présente des brûlures importantes sur les feuilles, qui débutent à l’apex et à la marge des feuilles puis progressent sur le limbe. Ces symptômes sont caractéristiques d’une phytotoxicité causée par le terbacil (SINBAR®), un herbicide ayant été appliqué au printemps dans la plantation. Le terbacil est homologué dans la culture de la fraise. L’étiquette spécifie que « la sensibilité à cet herbicide diffère selon les variétés de fraisiers...Une légère altéra… En savoir plus
Crédit photo: Laboratoire d'expertise et de diagnostic en phytoprotection - MAPAQ
Légende: Feuille de fraisier avec brûlures
Fraise - terbacil (5)_1
Fraise - terbacil (5)_2
Fraise - terbacil (5)_3
Fraise - terbacil (5)_4
Fraise - terbacil (5)_5
Fraise - terbacil (5)_6
Fraise - terbacil (5)_7
Fraise - terbacil (5)_8
Fraise - terbacil (5)_9
Fraise - terbacil (5)_10
Fraise - terbacil (5)_11
Fraise - terbacil (5)_12
Description

Les herbicides du groupe 5 inhibent la photosynthèse en bloquant le transfert d’électrons dans le photosystème II et le transfert de l'énergie lumineuse. Ils incluent les familles d’herbicides telles que : les triazines (ex. : AATREX, PRINCEP, etc.), les phényl-carbamates (ex. : BETAMIX, fin de commercialisation), les uraciles (ex. : SINBAR, etc.), les triazinones (SENCOR, VELPAR, etc.), les urées (Karmex, etc.) et les amides. Trois des familles d’herbicides, soient les triazines, les phényl-carbamates et les uraciles sont systémiques : elles peuvent être absorbées par le feuillage mais sont le plus souvent absorbées par les racines et sont transportées dans toute la plante via le xylème. Les herbicides du groupe 5 sont utilisés pour détruire les mauvaises herbes annuelles et vivaces.

Cas métribuzine - La métribuzine appartient à la famille des triazinones. Les herbicides contenant de la métribuzine sont homologués dans la culture du soya, pomme de terre, maïs, asperge, tomate, carotte, lupin blanc, gourgane, bleuet et arbres fruitiers mais pas dans celle des fraises. Cet herbicide est utilisé pour le contrôle d’un large éventail de dicotylédones et aussi de graminées annuelles. Lors d’application au sol, la métribuzine est absorbée rapidement par les racines et est rapidement transloquée via le xylème vers les tiges et les feuilles. L’absorption de l’herbicide par l’application foliaire est modérée.

La métribuzine est très soluble dans l'eau et mobile dans les sols. Son potentiel de lessivage est élevé et peut donc contaminer l'eau souterraine. Comme elle résiste à l'hydrolyse, elle est très persistante dans l'eau souterraine. Ses deux principaux métabolites (la dicétométribuzine désaminée et la dicétométribuzine) sont mobiles dans les sols et présentent un potentiel de lessivage élevé. La métribuzine peut aussi contaminer l'eau de surface par ruissellement. La métribuzine et ses métabolites sont non volatils et peu susceptibles de se volatiliser.
 
Certaines cultures sont sensibles à la métribuzine (céréales, cucurbitacées, amarantacées, crucifères, etc.) et peuvent être endommagées si elles sont semées dans un sol traité à la métribuzine dans l’année de l’application ou l’année suivant l'application.
 
Dans le monde, des populations d'amarante à racine rouge (Amaranthus retroflexus) résistantes à l’atrazine ont aussi démontré de la résistance à la métribuzine et ont donc survécu au traitement herbicide. La résistance à la métribuzine de mauvaises herbes n’a jamais été observée au Québec

Cas atrazine - L’atrazine appartient à la famille des triazines. Les herbicides contenant de l’atrazine sont homologués dans la culture du maïs grain et fourrager, de semence et sucré. L’atrazine peut être absorbée rapidement par le feuillage mais surtout par les racines. Elle migre ensuite vers le sommet de la plante et s’accumule à la marge des feuilles et aux points de croissance. Elle détruit un large éventail de dicotylédones.
 
L’atrazine peut persister dans le sol plus ou moins longtemps selon la dose utilisée, les conditions météorologiques et les types de sols (plus longtemps en sol sablonneux et en conditions sèches et fraîches). Elle est soluble dans l’eau et faiblement absorbée par les particules de sol, ce qui lui confère un potentiel de lessivage élevé. Son usage a été banni par l'Union Européenne en 2003, afin de prévenir la contamination des eaux souterraines.
 
Certaines populations de chénopodes, d’amarantes et d’herbes à poux sont résistantes aux triazines et survivent donc au traitement herbicide. Au Québec, le chénopode blanc (Chenopodium album), l’amarante de Powell (Amaranthus powellii), l'amarante à racine rouge (Amaranthus retroflexus) et la moutarde des oiseaux (Brassica rapa) sont résistantes à l’atrazine.

Cas terbacil – Le terbacil est un herbicide qui appartient à la famille des uraciles. Il est utilisé pour lutter contre diverses mauvaises herbes à feuilles larges et graminées dans les arbres fruitiers, la fraise, la framboise, les bleuets, la menthe et l'asperge (ex.: SINBAR®).
 
Appliqué au sol, le terbacil est rapidement absorbé par les racines mais moindrement par les feuilles et la (les) tige(s). Depuis les racines, il est transloqué via le xylème vers les parties supérieures de la plante. Les symptômes typiques de phytotoxicité sont des chloroses foliaires et une inhibition de la croissance des racines et de la (des) tige(s).
 
La persistance de cet herbicide varie de modérée à élevée dans les sols; il est lentement dégradé dans le sol et dans l’eau. Il est soluble dans l’eau et mobile ce qui augmente le risque de lessivage. L’ingrédient actif peut possiblement atteindre et contaminer les eaux souterraines.
 
Le terbacil appliqué sur des cultures éprouvées par des conditions rigoureuses, tels que la sécheresse, un sol peu fertile ou saturé d’eau, la maladie ou des ravages dus aux insectes, risque de causer de graves dommages. Les fraisiers sont moins susceptibles d’être abîmés si une pluie survient ou que le champ est irrigué immédiatement après l’application du produit. La sensibilité à l’herbicide diffère selon les variétés de fraisiers. Une légère altération du feuillage peut se produire après l’application de l’herbicide.
 
Aux États-Unis, des populations ont montré de la résistance au terbacil mais également à d’autres herbicides du groupe 5 : l’amarante à racine rouge (Amaranthus retroflexus), l’amarante de Powell (Amaranthus powellii), l’amarante fausse blette (Amaranthus blitoides) et le chénopode blanc (Chenopodium album). Au Canada, plusieurs populations ont montré de la résistance aux herbicides du groupe 5 mais non spécifiquement au terbacil, telles que : la moutarde des champs (Sinapis arvensis), la petite oseille (Rumex acetosella), la petite herbe à poux (Ambrosia artemisiifolia), l’amarante de Powell, l’amarante à racine rouge, l’échinochloée pied-de-coq (Echinochloa crus-galli), le panic capillaire (Panicum capillare), la sétaire glauque (Setaria glauca). Au Québec, des populations ont déjà montré de la résistance au groupe 5 : l’amarante à racine rouge, l’amarante de Powell, l’amarante tuberculée (Amaranthus tuberculatus), le chénopode blanc, la moutarde des oiseaux (Brassica rapa) et la petite herbe à poux.

Ne pas confondre

La phytotoxicité par les triazines peut être confondue avec d’autres phytotoxicités causées par les herbicides appartenant aux benzonitriles, aux bipyridiliums, aux acides aryloxy phénoxy-carboxiliques et aux oximes. On peut aussi la confondre avec des causes environnementales ou pratiques culturales telles des brûlures causées par les engrais, une carence en azote, en zinc, en cuivre, en potassium ou en molybdène, un semis superficiel, des taches foliaires bactériennes, le froid, la dessication ou une sécheresse.

Prévention

Pour diminuer les risques de phytotoxicité, il faut éviter les dérives sur les cultures lors de l’application, utiliser des jets dirigés au besoin, ne pas appliquer par temps venteux, respecter les consignes inscrites sur l’étiquette et bien nettoyer le pulvérisateur.

Le terbacil peut être appliqué à l’automne, juste avant le paillagee ou au printemps suivant, immédiatement après l’enlèvement de la paille pour compléter ou remplacer le traitement de fin d’automne. Les applications de printemps, après l’enlèvement de la paille sont davantage susceptibles de causer de la phytotoxicité aux fraisiers, surtout si de jeunes feuilles ont commencé leur croissance. Celles-ci sont généralement très sensibles au terbacil (brûlure par contact).

Le terbacil ne doit être utilisé que sur des plants sains et vigoureux; les plants faibles, malades ou atteints d'une quelconque façon risquent d’être gravement endommagés. Les fraisiers sont moins susceptibles d’être abîmés si une pluie survient ou que le champ est irrigué immédiatement après l’application. La sensibilité à l’herbicide Sinbar® diffère selon les variétés de fraisiers. Utiliser la plus faible des doses recommandées pour les variétés sensibles. Utiliser la plus faible des doses recommandées sur les sols sablonneux et pauvres en matière organique. Il est déconseiller d'appliquer le terbacil sur les sols graveleux ou contenant moins de 1% de matière organique.

Dommage

Feuille : anomalie de coloration (jaunissement à blanchiment entre les nervures ou jaunissement à la marge des vieilles feuilles puis dessèchement, brunissement et brûlure des tissus). Toute la feuille peut devenir jaune sauf les nervures qui demeurent vertes. Les vieilles feuilles sont plus affectées que les nouvelles. Les herbicides contenant de l’atrazine peuvent affecter tous les niveaux de feuilles.
 
Racine : faible développement du système racinaire.
 
Plant : dépérissement, inégalité des plants au champ et, dans le cas d’une phytotoxicité sévère, mortalité des plants.

Références et liens

Scalla, R. et coll. (1991). Les herbicides : mode d’action et principes d’utilisation. Paris : Institut national de la recherche agronomique INRA (Éditeur). Collection : du labo au terrain. Paris, France. 450 pp.

Shaner D.L. (Ed) (2014). Atrazine. Dans Herbicide handbook. 10e éd. Weed Science Society of America, Lawrence, Kensas. P. : 54-56.

Shaner D.L. (Ed) (2014). Metribuzin. Dans Herbicide handbook. 10e éd. Weed Science Society of America, Lawrence, Kensas. P. : 308-310.

Shaner D.L. (Ed) (2014). Terbacil. Dans Herbicide handbook. 10e éd. Weed Science Society of America, Lawrence, Kensas. P. : 436-437.

http://onlinelibrary.wiley.com/doi/10.1002/ps.2780330402

http://www.omafra.gov.on.ca/french/crops/pub75/pub75toc.htm

https://www.agrireseau.net/documents/Document_92448.pdf

http://ici.radio-canada.ca/nouvelle/738656/atrazine-herbicide-interdiction-equiterre-quebec-petition

https://www.senat.fr/rap/l02-215-2/l02-215-241.html

https://www.inspq.qc.ca/eau-potable/atrazine

https://www.canada.ca/fr/sante-canada/services/publications/vie-saine/recommandations-pour-qualite-eau-potable-canada-document-technique-atrazine.html