Skip to main content
Home
Toggle menu
Login
  • Home
  • Rechercher
    • Symptômes et dommages sur les plantes
    • Culture
    • Insectes et autres invertébrés
    • Mauvaises herbes et autres plantes
    • Virus et viroïdes
    • Champignons
    • Nématodes
    • Bactéries et phytoplasmes
  • Identifier
  • Glossaire
  • Image Gallery

Image Gallery

  1. Home
  2. Image Gallery
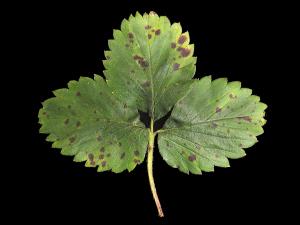
Fraise - Tache pourpre (Marssonina fragariae)_1
Fraise - Tache pourpre (Marssonina fragariae)_1

Fraise - Tache pourpre

À la face supérieure des folioles de fraisier, présence de taches irrégulières pourpres avec un centre brunâtre. Les taches sont réparties aléatoirement sur le limbe. Ce sympt...
Image Contenu lié à l’Image
Fraise - Tache pourpre (Marssonina fragariae)_5
Fraise - Tache pourpre (Marssonina fragariae)_5

Fraise - Tache pourpre

Sur le fruit (cv 'Kent'), les sépales présentent des brûlures ayant une apparence sèche pouvant affecter l'apex ou toute la surface des sépales (voir flèche). Ces brûlures son...
Image Contenu lié à l’Image
Fraise - Tache pourpre (Marssonina fragariae)_2
Fraise - Tache pourpre (Marssonina fragariae)_2

Fraise - Tache pourpre

À la face supérieure des folioles de fraisier, présence de taches irrégulières pourpres avec un centre brunâtre. Les taches sont réparties aléatoirement sur le limbe. Ce sympt...
Image Contenu lié à l’Image
Fraise - Tache pourpre (Marssonina fragariae)_3
Fraise - Tache pourpre (Marssonina fragariae)_3

Fraise - Tache pourpre

À la face supérieure des folioles de fraisier, présence de taches irrégulières complètement pourpres. Les taches sont réparties aléatoirement sur le limbe. Les tests de labora...
Image Contenu lié à l’Image
Fraise - Tache pourpre (Marssonina fragariae)_4
Fraise - Tache pourpre (Marssonina fragariae)_4

Fraise - Tache pourpre

À la face supérieure d’une foliole de fraisier, présence de taches irrégulières complètement pourpres. Les taches sont réparties aléatoirement sur le limbe. Les tests de labor...
Image Contenu lié à l’Image
Fraise - Tarsonème du fraisier (Phytonemus pallidus)_1
Fraise - Tarsonème du fraisier (Phytonemus pallidus)_1

Fraise - Tarsonème du fraisier

Image Contenu lié à l’Image

Fraise - Tarsonème du fraisier

Fleurs de fraisier présentant des dommages causés par l'alimentation de tarsonèmes du fraisier. Les fleurs avortent et prennent une coloration brunâtre alors que les sépales f...
Image Contenu lié à l’Image

Fraise - Tarsonème du fraisier

Feuillages de fraisier présentant des dommages causés par l'alimentation de tarsonèmes du fraisier. Ces acariens s'attaquent d'abord aux jeunes feuilles au coeur du plant. En ...
Image Contenu lié à l’Image

Fraise - Tarsonème du fraisier

Face supérieure d'une feuille de fraisier présentant des dommages causés par l'alimentation de tarsonèmes du fraisier. Ces acariens s'attaquent d'abord aux jeunes feuilles au ...
Image Contenu lié à l’Image

Fraise - Tarsonème du fraisier

Feuillages de fraisier présentant des dommages causés par l'alimentation de tarsonèmes du fraisier. Ces acariens s'attaquent d'abord aux jeunes feuilles au coeur du plant. En ...
Image Contenu lié à l’Image
Fraise - Température élevée et ensoleillement intense
Fraise - Température élevée et ensoleillement intense

Fraise - Température élevée et ensoleillement intense

Les feuilles de fraisier sont affectées par de nombreuses et minuscules taches blanchâtres à jaunâtres. Elles sont généralement plus nombreuses sur la moitié supérieure des fo...
Image Contenu lié à l’Image
Fraise - Température élevée et ensoleillement intense
Fraise - Température élevée et ensoleillement intense

Fraise - Température élevée et ensoleillement intense

La jeune feuille de fraisier est affectée par de nombreuses et minuscules taches blanchâtres à jaunâtres. Les taches sont si nombreuses que l'ensemble du limbe paraît affecté....
Image Contenu lié à l’Image
Fraise - Température élevée et ensoleillement intense
Fraise - Température élevée et ensoleillement intense

Fraise - Température élevée et ensoleillement intense

La jeune feuille de fraisier est affectée par de nombreuses et minuscules taches blanchâtres à jaunâtres. Les taches sont si nombreuses que l'ensemble du limbe paraît affecté....
Image Contenu lié à l’Image
Fraise - Température élevée et ensoleillement intense
Fraise - Température élevée et ensoleillement intense

Fraise - Température élevée et ensoleillement intense

Les feuilles de fraisier sont affectées par de nombreuses et minuscules taches blanchâtres à jaunâtres. Elles sont généralement plus nombreuses sur la moitié supérieure des fo...
Image Contenu lié à l’Image
Fraise - Température élevée et ensoleillement intense
Fraise - Température élevée et ensoleillement intense

Fraise - Température élevée et ensoleillement intense

La feuille de fraisier présente du jaunissement entre les nervures sur la moitié supérieure des folioles comparativement à leur partie basale. Le jaunissement n’est apparent q...
Image Contenu lié à l’Image
Fraise - Température élevée et ensoleillement intense
Fraise - Température élevée et ensoleillement intense

Fraise - Température élevée et ensoleillement intense

Les feuilles de fraisier (cv 'Cavendish') sont affectées par de nombreuses et minuscules taches blanchâtres à jaunâtres. Elles sont généralement plus nombreuses sur la moitié ...
Image Contenu lié à l’Image
Fraise - Température élevée et ensoleillement intense
Fraise - Température élevée et ensoleillement intense

Fraise - Température élevée et ensoleillement intense

Les feuilles de fraisier sont affectées par de nombreuses et minuscules taches blanchâtres à jaunâtres. Elles sont généralement plus nombreuses sur la moitié supérieure des fo...
Image Contenu lié à l’Image
Fraise - Tétranyque à deux points (Tetranychus urticae)_2
Fraise - Tétranyque à deux points (Tetranychus urticae)_2

Fraise - Tétranyque à deux points

Face supérieure d'une feuille de fraisier présentant des dommages causés par l'alimentation de tétranyques à deux points. Ces acariens piquent les cellules végétales sur la fa...
Image Contenu lié à l’Image
Fraise - Tétranyque à deux points (Tetranychus urticae)_1
Fraise - Tétranyque à deux points (Tetranychus urticae)_1

Fraise - Tétranyque à deux points

Plant de fraise recouvert par une toile tissée par des adultes et des larves du tétranyque à deux points : les grandes quantités de soies que produisent les colonies de tétran...
Image Contenu lié à l’Image
Fraise - Thrips des fleurs (Frankliniella tritici)_1
Fraise - Thrips des fleurs (Frankliniella tritici)_1

Fraise - Thrips des fleurs

Fraise présentant une coloration blanchâtre causée par l'alimentation de thrips. La décoloration débute autour des akènes par l'apparition d'un halo pour ensuite s'étendre sur...
Image Contenu lié à l’Image
Fraise - Thrips des fleurs (Frankliniella tritici)_2
Fraise - Thrips des fleurs (Frankliniella tritici)_2

Fraise - Thrips des fleurs

Fraises présentant une coloration blanchâtre causée par l'alimentation de thrips. La décoloration débute autour des akènes par l'apparition d'un halo pour ensuite s'étendre su...
Image Contenu lié à l’Image
Fraise - Vent
Fraise - Vent

Fraise - Vent

À la face supérieure d'une feuille de fraisier, présence de taches ou d'une anomalie de coloration brun rougeâtre à noirâtre traversant rarement le limbe. Le dommage est souve...
Image Contenu lié à l’Image
Fraise - Vent
Fraise - Vent

Fraise - Vent

La face inférieure d’une feuille de fraisier montre une coloration bronze tandis qu’à la face supérieure, le limbe est noircit et d’aspect huileux. Les symptômes ne sont pas é...
Image Contenu lié à l’Image
Fraise - Vent
Fraise - Vent

Fraise - Vent

Sur le pétiole d’une feuille de fraisier, présence d'un brunissement ou d'un noircissement superficiel ayant un aspect huileux et qui n’évolue pas. Ce symptôme est également p...
Image Contenu lié à l’Image
Fraise - Vent
Fraise - Vent

Fraise - Vent

À la face inférieure d’une foliole de fraisier, présence d’un brunissement des nervures dans la partie distale de la foliole. Ce dommage prend un aspect huileux et n’évolue pa...
Image Contenu lié à l’Image
Fraise - Vent
Fraise - Vent

Fraise - Vent

À la face supérieure des folioles, présence de taches ou d'une anomalie de coloration brun rougeâtre à noirâtre traversant rarement le limbe. Le dommage est souvent localisé s...
Image Contenu lié à l’Image
Fraise - Vent
Fraise - Vent

Fraise - Vent

À la face inférieure d'une feuille de fraisier, présence d’un brunissement des nervures et du limbe. Ce dommage prend un aspect huileux et n’évolue pas. Ce symptôme est souven...
Image Contenu lié à l’Image
Fraise - Vent
Fraise - Vent

Fraise - Vent

À la face inférieure des folioles de fraisier, présence d’un brunissement des nervures et du limbe. Ce dommage prend un aspect huileux et n’évolue pas. Ce symptôme est souvent...
Image Contenu lié à l’Image
Fraise - Vent
Fraise - Vent

Fraise - Vent

À la face inférieure d’une feuille de fraisier, présence d’un noircissement des nervures et du limbe. Ce dommage prend un aspect huileux et n’évolue pas. Ce symptôme est souve...
Image Contenu lié à l’Image
Fraise - Vent
Fraise - Vent

Fraise - Vent

À la face supérieure des folioles, présence de taches ou d'une anomalie de coloration brun rougeâtre à noirâtre traversant rarement le limbe. Le dommage est souvent localisé s...
Image Contenu lié à l’Image
Fraise - Vent
Fraise - Vent

Fraise - Vent

À la face supérieure des folioles, présence de taches ou d'une anomalie de coloration brun rougeâtre à noirâtre traversant rarement le limbe. Le dommage est souvent localisé s...
Image Contenu lié à l’Image
Fraise - Vent
Fraise - Vent

Fraise - Vent

La face inférieure d’une feuille de fraisier montre une coloration bronze tandis qu’à la face supérieure, le limbe est noircit et d’aspect huileux. Les symptômes ne sont pas é...
Image Contenu lié à l’Image
  • Afficher plus
Logo IRIIS
L’outil IRIIS est enrichi par le MAPAQ
et ses collaborateurs
Liens 

 À propos
 Fournir des images
 Crédits photo
 Glossaire
 Conditions d'utilisation
 Admin

Contact 

Téléphone : 418 523-5411
Sans frais : 1 888 535-2537
Télécopieur : 418 644-5944
Courriel : iriisphytoprotection@craaq.qc.ca

Adresse 

Édifice Delta 1
2875, boulevard Laurier, 9e étage

Québec (Québec) G1V 2M2
Canada

Propulsé par craaq

Ce site est optimisé pour Mozilla Firefox et Google Chrome

© CRAAQ, 2023 Tous droits réservés

       
sfy39587stp18
Drupal 9 Appliance - Powered by TurnKey Linux