Aller au contenu principal
Accueil
Toggle menu
Me connecter
  • Accueil
  • Rechercher
    • Symptômes et dommages sur les plantes
    • Culture
    • Insectes et autres invertébrés
    • Mauvaises herbes et autres plantes
    • Virus et viroïdes
    • Champignons
    • Nématodes
    • Bactéries et phytoplasmes
  • Identifier
  • Glossaire
  • Galerie d'images

Galerie d'images

  1. Accueil
  2. Galerie d'images
Céleri - Maladie du pétiole brun (Pseudomonas cichorii)
Céleri - Maladie du pétiole brun (Pseudomonas cichorii)

Céleri - Maladie du pétiole brun

Une vue rapprochée de la présence de zones de pourriture brune à la base des pétioles de céleri. Les zones s’étendent vers le haut jusqu’à environ le quart de la hauteur des p...
Image Contenu lié à l’Image
Céleri - Maladie du pétiole brun (Pseudomonas cichorii)
Céleri - Maladie du pétiole brun (Pseudomonas cichorii)

Céleri - Maladie du pétiole brun

Une vue rapprochée de la présence de zones de pourriture brune à la base des pétioles de céleri. Les zones s’étendent vers le haut jusqu’à environ le quart de la hauteur des p...
Image Contenu lié à l’Image
Céleri - Maladie du pétiole brun (Pseudomonas cichorii)
Céleri - Maladie du pétiole brun (Pseudomonas cichorii)

Céleri - Maladie du pétiole brun

Présence de zones de pourriture brune à la base des pétioles de céleri. Les zones s’étendent vers le haut jusqu’à environ le quart de la hauteur des pétioles. Les tissus sont ...
Image Contenu lié à l’Image
Céleri - Nématode cécidogène du nord (Meloidogyne hapla)
Céleri - Nématode cécidogène du nord (Meloidogyne hapla)

Céleri - Nématode cécidogène du nord (Meloidogyne hapla)

Un plant de céleri montre un jaunissement localisé de certaines feuilles basales. Les racines portent de multiples petits renflements beiges (peu visible ici). Les observation...
Image Contenu lié à l’Image
Céleri - Nématode cécidogène du nord (Meloidogyne hapla)
Céleri - Nématode cécidogène du nord (Meloidogyne hapla)

Céleri - Nématode cécidogène du nord (Meloidogyne hapla)

Un plant de céleri montre un jaunissement localisé de certaines feuilles basales. Les racines portent de multiples petits renflements beiges (peu visible ici). Les observation...
Image Contenu lié à l’Image
Céleri - Nématode cécidogène du nord (Meloidogyne hapla)
Céleri - Nématode cécidogène du nord (Meloidogyne hapla)

Céleri - Nématode cécidogène du nord (Meloidogyne hapla)

Le système racinaire d’un plant de céleri montre de nombreux petits renflements beiges d’une grosseur variable. Les observations microscopiques ont révélé la présence du némat...
Image Contenu lié à l’Image
Céleri - Nématode cécidogène du nord (Meloidogyne hapla)
Céleri - Nématode cécidogène du nord (Meloidogyne hapla)

Céleri - Nématode cécidogène du nord (Meloidogyne hapla)

Une vue rapprochée du système racinaire d’un plant de céleri montre de nombreux petits renflements beiges d’une grosseur variable. Les observations microscopiques ont révélé l...
Image Contenu lié à l’Image
Céleri - Phytoplasme de la jaunisse de l'aster
Céleri - Phytoplasme de la jaunisse de l'aster

Céleri - Phytoplasme de la jaunisse de l'aster

Les feuilles du cœur d’un plant de céleri (cv 'Tango') sont tordues, enroulées et parfois soudées. Les feuilles extérieures étaient jaunâtres, mais non déformées. Tous les pét...
Image Contenu lié à l’Image
Céleri - Phytoplasme de la jaunisse de l'aster
Céleri - Phytoplasme de la jaunisse de l'aster

Céleri - Phytoplasme de la jaunisse de l'aster

Les feuilles du cœur d’un plant de céleri (cv 'Tango') sont tordues, enroulées et parfois soudées. Les feuilles extérieures étaient jaunâtres, mais non déformées. Tous les pét...
Image Contenu lié à l’Image
Céleri - Phytoplasme de la jaunisse de l'aster
Céleri - Phytoplasme de la jaunisse de l'aster

Céleri - Phytoplasme de la jaunisse de l'aster

Un plant de céleri (cv 'Colmarion') a été dépouillé de quelques branches pour montrer le cœur. On observe de jeunes feuilles jaunes et tordues. Les pétioles montrent un début ...
Image Contenu lié à l’Image
Céleri - Phytoplasme de la jaunisse de l'aster
Céleri - Phytoplasme de la jaunisse de l'aster

Céleri - Phytoplasme de la jaunisse de l'aster

Des plants de céleri (cv 'Colmarion') montrent des feuilles extérieures jaunâtres, mais non déformées. Les pétioles sont jaunes. Dans le cœur des plants, on aperçoit des feuil...
Image Contenu lié à l’Image
Céleri - Phytoplasme de la jaunisse de l'aster
Céleri - Phytoplasme de la jaunisse de l'aster

Céleri - Phytoplasme de la jaunisse de l'aster

Un plant de céleri (cv 'Tango') a été dépouillé de quelques branches extérieures pour montrer une partie du cœur. On observe des malformations sévères du jeune feuillage qui s...
Image Contenu lié à l’Image
Céleri - Phytoplasme de la jaunisse de l'aster
Céleri - Phytoplasme de la jaunisse de l'aster

Céleri - Phytoplasme de la jaunisse de l'aster

Les feuilles du cœur d’un plant de céleri (cv 'Tango') sont tordues, enroulées et parfois soudées. Les feuilles extérieures étaient jaunâtres, mais non déformées. Tous les pét...
Image Contenu lié à l’Image
Céleri - Pourriture des racines (Pythium ultimum)
Céleri - Pourriture des racines (Pythium ultimum)

Céleri - Pourriture des racines

Le système racinaire d’un plant de céleri montre de nombreuses racines secondaires brunes et humides. Les feuilles basales sont vert clair à jaunes (non visible ici). Les test...
Image Contenu lié à l’Image
Céleri - Pourriture des racines (Pythium ultimum)
Céleri - Pourriture des racines (Pythium ultimum)

Céleri - Pourriture des racines

Comparaison entre des feuilles de céleri affectées et saines. Les feuilles basales sont vert clair à jaunes tandis que les feuilles médianes sont vertes. Le système racinaire ...
Image Contenu lié à l’Image
Céleri - Tache bactérienne (Pseudomonas syringae)
Céleri - Tache bactérienne (Pseudomonas syringae)

Céleri - Tache bactérienne

Les feuilles basales et médianes de céleri montrent des taches ou brûlures irrégulières brun pâle avec une marge foncée, d’une apparence sèche et sans halo jaune. Elles sont r...
Image Contenu lié à l’Image
Céleri - Tache bactérienne (Pseudomonas syringae)
Céleri - Tache bactérienne (Pseudomonas syringae)

Céleri - Tache bactérienne

Une vue rapprochée d’une foliole de céleri montre des taches ou brûlures irrégulières brun pâle avec une marge foncée, d’une apparence sèche et sans halo jaune. Elles sont rép...
Image Contenu lié à l’Image
Céleri - Tache bactérienne (Pseudomonas syringae)
Céleri - Tache bactérienne (Pseudomonas syringae)

Céleri - Tache bactérienne

Une feuille trifoliée de céleri montre des taches plutôt circulaires brun pâle avec une marge foncée et un halo jaune. Le centre des taches tend à devenir foncé. Les tests de ...
Image Contenu lié à l’Image
celeri_sep_41611a_lp_iriis
celeri_sep_41611a_lp_iriis

Céleri - Tache septorienne

Les pétioles de céleri montrent des taches beiges à brunes de forme allongées. Les taches portent de minuscules ponctuations noires, qui correspondent aux pycnides de Septoria...
Image Contenu lié à l’Image
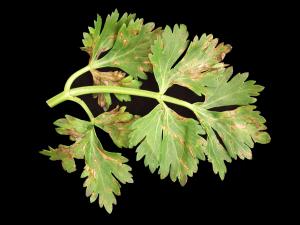
Céleri - Tache septorienne (Septoria apiicola)
Céleri - Tache septorienne (Septoria apiicola)

Céleri - Tache septorienne

Une feuille de céleri montre de nombreuses taches beiges, plutôt circulaires, portant de minuscules ponctuations noires. Les observations microscopiques ont révélé la présence...
Image Contenu lié à l’Image
celeri_sep_41611b_lp_iriis
celeri_sep_41611b_lp_iriis

Céleri - Tache septorienne

Les pétioles de céleri montrent des taches beiges à brunes de forme allongées. Les taches portent de minuscules ponctuations noires, qui correspondent aux pycnides de Septoria...
Image Contenu lié à l’Image
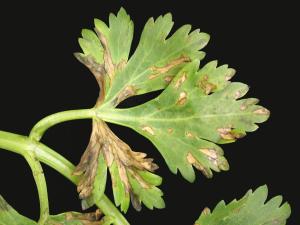
Céleri - Tache septorienne (Septoria apiicola)
Céleri - Tache septorienne (Septoria apiicola)

Céleri - Tache septorienne

Une vue rapprochée de la face inférieure d’une feuille de céleri montre de nombreuses taches beiges, plutôt circulaires, portant de minuscules ponctuations noires. Les observa...
Image Contenu lié à l’Image
celeri_sep_41427a_ad_iriis
celeri_sep_41427a_ad_iriis

Céleri - Tache septorienne

Présence de taches brunâtres entourées d’un halo jaune sur la face supérieure d’une feuille de céleri. Le centre des taches est parsemé de petits points noirs qui corresponden...
Image Contenu lié à l’Image
celeri_sep_41611c_lp_iriis
celeri_sep_41611c_lp_iriis

Céleri - Tache septorienne

Les pétioles de céleri montrent des taches beiges à brunes de forme allongées. Les taches portent de minuscules ponctuations noires, qui correspondent aux pycnides de Septoria...
Image Contenu lié à l’Image
Céleri - Tache septorienne (Septoria apiicola)
Céleri - Tache septorienne (Septoria apiicola)

Céleri - Tache septorienne

Les feuilles et les pétioles de céleri montrent de nombreuses taches beiges à brunes, plutôt circulaires sur les feuilles et allongées sur les pétioles. Les taches portent de ...
Image Contenu lié à l’Image
celeri_sep_41427b_ad_iriis
celeri_sep_41427b_ad_iriis

Céleri - Tache septorienne

Présence de taches brunâtres entourées d’un halo jaune sur la face supérieure d’une feuille de céleri. Le centre des taches est parsemé de petits points noirs qui corresponden...
Image Contenu lié à l’Image
celeri_sep_42384a_dh_iriis
celeri_sep_42384a_dh_iriis

Céleri - Tache septorienne

Les pétioles de céleri montrent des taches beiges à brunes de forme allongées. Les taches portent de minuscules ponctuations noires, qui correspondent aux pycnides de Septoria...
Image Contenu lié à l’Image
celeri_sep_41427c_ad_iriis
celeri_sep_41427c_ad_iriis

Céleri - Tache septorienne

Présence de taches brunâtres entourées d’un halo jaune sur la face supérieure d’une feuille de céleri. Le centre des taches est parsemé de petits points noirs qui corresponden...
Image Contenu lié à l’Image
celeri_sep_42384b_dh_iriis
celeri_sep_42384b_dh_iriis

Céleri - Tache septorienne

Les pétioles de céleri montrent des taches beiges à brunes de forme allongées. Les taches portent de minuscules ponctuations noires, qui correspondent aux pycnides de Septoria...
Image Contenu lié à l’Image
celeri_sep_41427d_ad_iriis
celeri_sep_41427d_ad_iriis

Céleri - Tache septorienne

Pycnides de Septoria apiicola, responsable de la tache septorienne du céleri, regroupées sur le pétiole d'un céleri. ...
Image Contenu lié à l’Image
celeri_sep_41611d_lp_iriis
celeri_sep_41611d_lp_iriis

Céleri - Tache septorienne

Image Contenu lié à l’Image
celeri_sep_41427e_ad_iriis
celeri_sep_41427e_ad_iriis

Céleri - Tache septorienne

Les pétioles de céleri montrent des taches beiges à brunes de forme allongées. Les taches portent parfois de minuscules ponctuations noires, qui correspondent aux pycnides de ...
Image Contenu lié à l’Image
  • Afficher plus
Logo IRIIS
L’outil IRIIS est enrichi par le MAPAQ
et ses collaborateurs
Liens 

 À propos
 Fournir des images
 Crédits photo
 Glossaire
 Conditions d'utilisation
 Admin

Contact 

Téléphone : 418 523-5411
Sans frais : 1 888 535-2537
Télécopieur : 418 644-5944
Courriel : iriisphytoprotection@craaq.qc.ca

Adresse 

Édifice Delta 1
2875, boulevard Laurier, 9e étage

Québec (Québec) G1V 2M2
Canada

Propulsé par craaq

Ce site est optimisé pour Mozilla Firefox et Google Chrome

© CRAAQ, 2023 Tous droits réservés

       
sfy39587stp18
Drupal 9 Appliance - Powered by TurnKey Linux