Blé - Écart de température (jour/nuit)_2

Fournisseur

Brigitte Duval

Photographe

Brigitte Duval

Legende

Brûlure apicale sur des feuilles de blé de printemps

Credit

Brigitte Duval - MAPAQ
Maïs grain et fourrager - Carence en magnésium

Fournisseur

Brigitte Duval

Photographe

André Brunelle

Legende

Jaunissement sur feuilles basales de maïs grain et fourrager

Credit

André Brunelle - MAPAQ
Maïs grain et fourrager - Carence en magnésium

Fournisseur

Brigitte Duval

Photographe

André Brunelle

Legende

Jaunissement entre les nervures vertes sur feuilles de maïs grain et fourrager

Credit

André Brunelle - MAPAQ
Maïs grain et fourrager - Carence en azote

Fournisseur

Brigitte Duval

Photographe

Brigitte Duval

Legende

Jaunissement en forme de « V » sur feuille de maïs grain et fourrager

Credit

Brigitte Duval - MAPAQ
Maïs grain et fourrager - Carence en azote

Fournisseur

Brigitte Duval

Photographe

Brigitte Duval

Legende

Jaunissement et dessèchement sur feuilles de maïs grain et fourrager

Credit

Brigitte Duval - MAPAQ
Maïs grain et fourrager - Carence en azote

Fournisseur

Brigitte Duval

Photographe

Brigitte Duval

Legende

Jaunissement et dessèchement sur feuilles de maïs grain et fourrager

Credit

Brigitte Duval - MAPAQ
Maïs grain et fourrager - Insolation (coup de soleil) et température basse de l'air (froid)

Fournisseur

Brigitte Duval

Photographe

Brigitte Duval

Legende

Taches blanches sur feuille de maïs grain et fourrager

Credit

Brigitte Duval - MAPAQ
Maïs grain et fourrager - Insolation (coup de soleil) et température basse de l'air (froid)

Fournisseur

Brigitte Duval

Photographe

Brigitte Duval

Legende

Brûlures sur feuille de maïs grain et fourrager

Credit

Brigitte Duval - MAPAQ
Bleuet en corymbe - Excès de fertilisation

Fournisseur

Luc Urbain

Photographe

Luc Urbain

Legende

Brûlures sur feuilles de bleuet en corymbe

Credit

Luc Urbain - MAPAQ
Bleuet en corymbe - Excès de fertilisation

Fournisseur

Luc Urbain

Photographe

Luc Urbain

Legende

Brûlure marginale sur feuilles de bleuet en corymbe

Credit

Luc Urbain - MAPAQ
Bleuet en corymbe - Excès de fertilisation

Fournisseur

Luc Urbain

Photographe

Luc Urbain

Legende

Brûlures et dépôt blanchâtre sur feuilles de bleuet en corymbe

Credit

Luc Urbain - MAPAQ
Bleuet en corymbe - Excès de fertilisation

Fournisseur

Luc Urbain

Photographe

Luc Urbain

Legende

Brûlures et dépôt blanchâtre sur feuilles de bleuet en corymbe

Credit

Luc Urbain - MAPAQ
Bleuet en corymbe - Excès de fertilisation

Fournisseur

Luc Urbain

Photographe

Luc Urbain

Legende

Brûlures et dépôt blanchâtre sur feuilles de bleuet en corymbe

Credit

Luc Urbain - MAPAQ
Canneberge - Dessiccation printanière

Fournisseur

Laboratoire de diagnostic en phytoprotection

Photographe

Claire Fecteau

Legende

Dépérissement d'un plant de canneberge

Credit

Laboratoire d'expertise et de diagnostic en phytoprotection - MAPAQ
Fraise - Gel printanier

Fournisseur

Laboratoire de diagnostic en phytoprotection

Photographe

Michel Lacroix

Legende

Brunissement des fleurs et de l'apex d'une foliole de fraisier

Credit

Laboratoire d'expertise et de diagnostic en phytoprotection - MAPAQ
Fraise - Salinité élevée

Fournisseur

Laboratoire de diagnostic en phytoprotection

Photographe

Claire Fecteau

Legende

Brûlure marginale brun rouille à noire sur feuilles de fraisier

Credit

Laboratoire d'expertise et de diagnostic en phytoprotection - MAPAQ
Fraise - Salinité élevée

Fournisseur

Laboratoire de diagnostic en phytoprotection

Photographe

Claire Fecteau

Legende

Brûlure marginale sur feuille de fraisier

Credit

Laboratoire d'expertise et de diagnostic en phytoprotection - MAPAQ
Fraise - Insolation (coup de soleil) et température élevée de l'air (chaleur)

Fournisseur

Laboratoire de diagnostic en phytoprotection

Photographe

Michel Lacroix

Legende

Brunissement d'une foliole de fraisier

Credit

Laboratoire d'expertise et de diagnostic en phytoprotection - MAPAQ
Fraise - Gel printanier

Fournisseur

Christian Lacroix

Photographe

Christian Lacroix

Legende

Noircissement des folioles de fraisier

Credit

Christian Lacroix - Fertior
Fraise - Brûlure de la pointe ou nécrose marginale_1

Fournisseur

Laboratoire de diagnostic en phytoprotection

Photographe

Bernard Drouin

Legende

Brûlure de l'apex des folioles de fraisier

Credit

Pierre O. Thibodeau - MAPAQ
Fraise - Brûlure de la pointe ou nécrose marginale_2

Fournisseur

Laboratoire de diagnostic en phytoprotection

Photographe

Inconnu

Legende

Noircissement de l'apex des folioles de fraisier

Credit

Pierre O. Thibodeau - MAPAQ
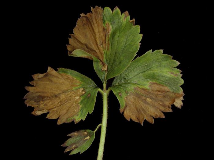
Fraise - Brûlure de la pointe ou nécrose marginale_3

Fournisseur

Laboratoire de diagnostic en phytoprotection

Photographe

Bernard Drouin

Legende

Brûlure de l'apex des feuilles de fraisier

Credit

Pierre O. Thibodeau - MAPAQ
Fraise - Excès/Toxicité en ammoniac (NH3)_1

Fournisseur

Luc Urbain

Photographe

Luc Urbain

Legende

Brûlure des feuilles de fraisier au bord du rang

Credit

Luc Urbain - MAPAQ
Fraise - Excès/Toxicité en ammoniac (NH3)_2

Fournisseur

Luc Urbain

Photographe

Luc Urbain

Legende

Brûlure des feuilles de fraisier au bord du rang

Credit

Luc Urbain - MAPAQ
Fraise - Carence en potassium (K)_1

Fournisseur

Laboratoire de diagnostic en phytoprotection

Photographe

Michel Lacroix

Legende

Brunissement sur les nervures d'une feuille de fraisier

Credit

Laboratoire d'expertise et de diagnostic en phytoprotection - MAPAQ
Fraise - Carence en potassium (K)_2

Fournisseur

Laboratoire de diagnostic en phytoprotection

Photographe

Michel Lacroix

Legende

Brunissement sur les nervures d'une feuille de fraisier

Credit

Laboratoire d'expertise et de diagnostic en phytoprotection - MAPAQ
Fraise - Carence en potassium (K)_3

Fournisseur

Laboratoire de diagnostic en phytoprotection

Photographe

Michel Lacroix

Legende

Brunissement sur et entre les nervures d'une feuille de fraisier

Credit

Laboratoire d'expertise et de diagnostic en phytoprotection - MAPAQ
Fraise - Gel hivernal

Fournisseur

Laboratoire de diagnostic en phytoprotection

Photographe

Chantal Malenfant

Legende

Brûlure sur feuille de fraisier

Credit

Laboratoire d'expertise et de diagnostic en phytoprotection - MAPAQ
Fraise - Gel hivernal

Fournisseur

Laboratoire de diagnostic en phytoprotection

Photographe

Chantal Malenfant

Legende

Brûlures sur feuille de fraisier

Credit

Laboratoire d'expertise et de diagnostic en phytoprotection - MAPAQ
Browallias - Blessure de contact par les engrais

Fournisseur

Andrée Roy

Photographe

Chantal Malenfant

Legende

Brûlure sur feuilles de browallia

Credit

Laboratoire d'expertise et de diagnostic en phytoprotection - MAPAQ