Cerise - Coulure bactérienne (Pseudomonas syringae pv. syringae)

Fournisseur

Cultur'Innov

Photographe

Kévin Lanoue-Piché

Legende

Chancres et gommose causés par la coulure bactérienne sur une branche charpentière de cerisier nain rustique.

Credit

Kévin Lanoue-Piché - Cultur'Innov
Cerise - Coulure bactérienne (Pseudomonas syringae pv. syringae)

Fournisseur

Cultur'Innov

Photographe

Françoise Rodrigue

Legende

Plants de cerisier nain rustique fortement atteints par la coulure bactérienne.

Credit

Françoise Rodrigue - Cultur'Innov
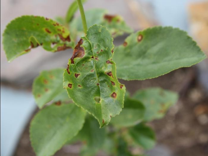
Cerise - Coulure bactérienne (Pseudomonas syringae pv. syringae)

Fournisseur

Cultur'Innov

Photographe

Caroline Turcotte

Legende

Taches causées par la coulure bactérienne sur les feuilles d'un cerisier nain rustique.

Credit

Caroline Turcotte - MAPAQ
Cerise - Coulure bactérienne (Pseudomonas syringae pv. syringae)

Fournisseur

Cultur'Innov

Photographe

Kévin Lanoue-Piché

Legende

Flétrissement des tiges et des fleurs causé par la coulure bactérienne.

Credit

Kévin Lanoue-Piché - Cultur'Innov
Cerise - Coulure bactérienne (Pseudomonas syringae pv. syringae)

Fournisseur

Cultur'Innov

Photographe

Caroline Turcotte

Legende

Fleurs de cerisier nain rustique infectées par la coulure bactérienne.

Credit

Caroline Turcotte - MAPAQ
Cerise - Coulure bactérienne (Pseudomonas syringae pv. syringae)

Fournisseur

Cultur'Innov

Photographe

Caroline Turcotte

Legende

Tache causée par la coulure bactérienne sur le fruit d'un cerisier nain rustique.

Credit

Caroline Turcotte - MAPAQ
Noisetier - Brûlure bactérienne (Xanthomonas arboricola pv. corylina)

Fournisseur

Cultur'Innov

Photographe

Kévin Lanoue-Piché

Legende

Symptôme de la brûlure bactérienne sur la face supérieure d'une feuille de noisetier.

Credit

Kévin Lanoue-Piché - Cultur'Innov
Noisetier - Brûlure bactérienne (Xanthomonas arboricola pv. corylina)

Fournisseur

Cultur'Innov

Photographe

Kévin Lanoue-Piché

Legende

Symptôme de la brûlure bactérienne sur la face inférieure d'une feuille de noisetier.

Credit

Kévin Lanoue-Piché - Cultur'Innov
Noisetier - Brûlure bactérienne (Xanthomonas arboricola pv. corylina)

Fournisseur

Cultur'Innov

Photographe

Kévin Lanoue-Piché

Legende

Tige de noisetier infectée par la brûlure bactérienne.

Credit

Kévin Lanoue-Piché - Cultur'Innov
Cerise - Coulure bactérienne (Pseudomonas syringae pv. syringae)

Fournisseur

Laboratoire d'expertise et de diagnostic en phytoprotection

Photographe

Chantal Malenfant

Legende

Mort des bourgeons floraux d'un cerisier des oiseaux, à la suite d'une infection par la coulure bactérienne.

Credit

Laboratoire d'expertise et de diagnostic en phytoprotection - MAPAQ

Fournisseur

Cultur'Innov

Photographe

Laurie Brown

Legende

Plant d'argousier dépérissant.

Credit

Laurie Brown - Cultur'Innov

Fournisseur

Laurie Brown

Photographe

Laurie Brown

Legende

Diminution du nombre de radicielle et nécrose des tissus suite aux dommage de nutrition par les nématodes.

Credit

Laurie Brown - Cultur'Innov
Melons - Target cluster_1

Fournisseur

Isabelle Couture

Photographe

Isabelle Couture

Legende

Anneaux concentriques sur la peau d'un melon de la varitété Sugar baby.

Credit

Isabelle Couture - MAPAQ
Melons - Target cluster_2

Fournisseur

Isabelle Couture

Photographe

Isabelle Couture

Legende

Anneaux concentriques sur la peau d'un melon de la varitété Sugar baby.

Credit

Isabelle Couture - MAPAQ
Melons - Target cluster_3

Fournisseur

Isabelle Couture

Photographe

Isabelle Couture

Legende

Anneaux concentriques sur la peau d'un melon de la varitété Sugar baby.

Credit

Isabelle Couture - MAPAQ
Arbres de Noël (sapins) - Blessure mécanique

Fournisseur

MAPAQ Estrie

Photographe

MAPAQ Estrie

Legende

Blessure au niveau du collet de l'arbre occasionné par le fauchage.

Credit

MAPAQ Estrie
Camerise - Carence en potassium

Fournisseur

Marie-Ève Desaulniers

Photographe

Marie-Ève Desaulniers

Legende

Carence en potassium sur feuille de camérisier.

Credit

Marie-Ève Desaulniers - Cultur'Innov
Camerise - Salinité élevée

Fournisseur

Kévin Lanoue-Piché

Photographe

Kévin Lanoue-Piché

Legende

Salinité élevée.

Credit

Kévin Lanoue-Piché - Cultur'Innov
Camerise - Gel printanier

Fournisseur

Kévin Lanoue-Piché

Photographe

Kévin Lanoue-Piché

Legende

Camérisiers affaiblis par un gel printanier.

Credit

Kévin Lanoue-Piché - Cultur'Innov
Argousier - Carence en azote

Fournisseur

Kévin Lanoue-Piché

Photographe

Kévin Lanoue-Piché

Legende

Plant d'argousier affecté par une carence en azote.

Credit

Kévin Lanoue-Piché - Cultur'Innov
Argousier - Mauvaises conditions de plantation

Fournisseur

Kévin Lanoue-Piché

Photographe

Kévin Lanoue-Piché

Legende

Base d’un plant d’argousier implanté trop profondément.

Credit

Kévin Lanoue-Piché - Cultur'Innov
Camerise - Carence en azote

Fournisseur

Kévin Lanoue-Piché

Photographe

Kévin Lanoue-Piché

Legende

Carence en azote sur une feuille de camérisier.

Credit

Kévin Lanoue-Piché - Cultur'Innov
Camerise - Carence en azote

Fournisseur

Kévin Lanoue-Piché

Photographe

Kévin Lanoue-Piché

Legende

Carence en azote sur camérisier.

Credit

Kévin Lanoue-Piché - Cultur'Innov
Camerise - Carence en manganèse

Fournisseur

Elsa Poulin

Photographe

Elsa Poulin

Legende

Carence en manganèse.

Credit

Elsa Poulin - Cultur'Innov
Camerise - Carence en manganèse

Fournisseur

Elsa Poulin

Photographe

Elsa Poulin

Legende

Carence en manganèse.

Credit

Elsa Poulin - Cultur'Innov
Camerise - Carence en manganèse

Fournisseur

Elsa Poulin

Photographe

Elsa Poulin

Legende

Carence en manganèse.

Credit

Elsa Poulin - Cultur'Innov
Camerise - Salinité élevée

Fournisseur

Laurie Brown

Photographe

Laurie Brown

Legende

Salinité élevée.

Credit

Laurie Brown - Cultur'Innov
Cerise - Gel printanier

Fournisseur

Cultur'Innov

Photographe

Kévin Lanoue-Piché

Legende

Gel printanier sur les fleurs d'un cerisier nain rustique.

Credit

Kévin Lanoue-Piché - Cultur'Innov
Cerise - Gel hivernal

Fournisseur

Cultur'Innov

Photographe

Caroline Turcotte

Legende

Gel hivernal sur un tronc de cerisier nain rustique.

Credit

Caroline Turcotte - MAPAQ
Cerise - Gel hivernal

Fournisseur

Cultur'Innov

Photographe

Caroline Turcotte

Legende

Gel hivernal sur un tronc de cerisier nain rustique.

Credit

Caroline Turcotte - MAPAQ