Fraise - Blanc (Sphaerotheca macularis)

Fournisseur

Christian Lacroix

Photographe

Christian Lacroix

Legende

Mycélium blanc et enroulement d'une foliole de fraisier

Credit

Christian Lacroix - Fertior
Fraise - Blanc (Sphaerotheca macularis)

Fournisseur

Christian Lacroix

Photographe

Christian Lacroix

Legende

Mycélium blanc et enroulement d'une foliole de fraisier

Credit

Christian Lacroix - Fertior
Fraise - Blanc (Sphaerotheca macularis)

Fournisseur

Laboratoire de diagnostic en phytoprotection

Photographe

Inconnu

Legende

Comparaison entre un plant de fraisier sain et affecté

Credit

Laboratoire d'expertise et de diagnostic en phytoprotection - MAPAQ
Fraise - Blanc (Sphaerotheca macularis)

Fournisseur

Laboratoire de diagnostic en phytoprotection

Photographe

Claire Fecteau

Legende

Taches sur folioles de fraisier

Credit

Laboratoire d'expertise et de diagnostic en phytoprotection - MAPAQ
Fraise - Blanc (Sphaerotheca macularis)

Fournisseur

Laboratoire de diagnostic en phytoprotection

Photographe

Claire Fecteau

Legende

Taches sur folioles de fraisier

Credit

Laboratoire d'expertise et de diagnostic en phytoprotection - MAPAQ
Fraise - Blanc (Sphaerotheca macularis)

Fournisseur

Luc Urbain

Photographe

Luc Urbain

Legende

Rougissement, enroulement et taches sur folioles de fraisier

Credit

Luc Urbain - MAPAQ
Fraise - Blanc (Sphaerotheca macularis)

Fournisseur

Luc Urbain

Photographe

Luc Urbain

Legende

Rougissement, enroulement et taches sur folioles de fraisier

Credit

Luc Urbain - MAPAQ
Fraise - Blanc (Sphaerotheca macularis)

Fournisseur

Luc Urbain

Photographe

Luc Urbain

Legende

Taches pourpres et enroulement de la marge des folioles de fraisier

Credit

Luc Urbain - MAPAQ
Fraise - Moisissure grise (Botrytis cinerea)

Fournisseur

Laboratoire de diagnostic en phytoprotection

Photographe

Bernard Drouin

Legende

Développement de la maladie au contact des pétales avec feuilles de fraisier

Credit

Pierre O. Thibodeau - MAPAQ
Fraise - Tache commune (Ramularia brunnea)

Fournisseur

Laboratoire de diagnostic en phytoprotection

Photographe

Bernard Drouin

Legende

Taches pourpres avec un centre blanc sur feuilles de fraisier

Credit

Pierre O. Thibodeau - MAPAQ
Fraise - Tache commune (Ramularia brunnea)

Fournisseur

Laboratoire de diagnostic en phytoprotection

Photographe

Bernard Drouin

Legende

Taches pourpres avec un centre blanc sur folioles de fraisier

Credit

Pierre O. Thibodeau - MAPAQ
Fraise - Tache commune (Ramularia brunnea)

Fournisseur

Laboratoire de diagnostic en phytoprotection

Photographe

Bernard Drouin

Legende

Taches pourpres avec un centre blanc sur folioles de fraisier

Credit

Pierre O. Thibodeau - MAPAQ
Fraise - Tache commune (Ramularia brunnea)

Fournisseur

Laboratoire de diagnostic en phytoprotection

Photographe

Michel Lacroix

Legende

Taches pourpres avec un centre blanc sur feuille de fraisier

Credit

Laboratoire d'expertise et de diagnostic en phytoprotection - MAPAQ
Fraise - Tache commune (Ramularia brunnea)

Fournisseur

Laboratoire de diagnostic en phytoprotection

Photographe

Michel Lacroix

Legende

Taches pourpres avec un centre blanc sur foliole de fraisier

Credit

Laboratoire d'expertise et de diagnostic en phytoprotection - MAPAQ
Fraise - Tache commune (Ramularia brunnea)

Fournisseur

Laboratoire de diagnostic en phytoprotection

Photographe

Michel Lacroix

Legende

Taches pourpres avec un centre blanc sur foliole de fraisier

Credit

Laboratoire d'expertise et de diagnostic en phytoprotection - MAPAQ
Fraise - Tache commune (Ramularia brunnea)

Fournisseur

Laboratoire de diagnostic en phytoprotection

Photographe

Chantal Malenfant

Legende

Taches pourpres avec un centre blanc sur feuille de fraisier

Credit

Laboratoire d'expertise et de diagnostic en phytoprotection - MAPAQ
Fraise - Tache commune (Ramularia brunnea)

Fournisseur

Laboratoire de diagnostic en phytoprotection

Photographe

Chantal Malenfant

Legende

Taches pourpres avec un centre blanc sur foliole de fraisier

Credit

Laboratoire d'expertise et de diagnostic en phytoprotection - MAPAQ
Fraise - Tache commune (Ramularia brunnea)

Fournisseur

Laboratoire de diagnostic en phytoprotection

Photographe

Chantal Malenfant

Legende

Taches pourpres avec un centre blanc sur feuille de fraisier

Credit

Laboratoire d'expertise et de diagnostic en phytoprotection - MAPAQ
Fraise - Tache commune (Ramularia brunnea)

Fournisseur

Laboratoire de diagnostic en phytoprotection

Photographe

Chantal Malenfant

Legende

Taches pourpres avec un centre blanc sur feuille de fraisier

Credit

Laboratoire d'expertise et de diagnostic en phytoprotection - MAPAQ
Fraise - Tache commune (Ramularia brunnea)

Fournisseur

Laboratoire de diagnostic en phytoprotection

Photographe

Chantal Malenfant

Legende

Taches pourpres avec un centre blanc sur folioles de fraisier

Credit

Laboratoire d'expertise et de diagnostic en phytoprotection - MAPAQ
Fraise - Tache commune (Ramularia brunnea)

Fournisseur

Luc Urbain

Photographe

Luc Urbain

Legende

Taches pourpres avec un centre blanc sur feuilles de fraisier

Credit

Luc Urbain - MAPAQ
Fraise - Tache commune (Ramularia brunnea)

Fournisseur

Luc Urbain

Photographe

Luc Urbain

Legende

Taches pourpres avec un centre blanc sur feuilles de fraisier

Credit

Luc Urbain - MAPAQ
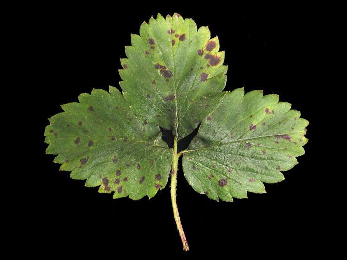
Fraise - Tache pourpre (Marssonina fragariae)_1

Fournisseur

Laboratoire de diagnostic en phytoprotection

Photographe

Bernard Drouin

Legende

Taches pourpres sur feuille de fraisier

Credit

Pierre O. Thibodeau - MAPAQ
Fraise - Tache pourpre (Marssonina fragariae)_2

Fournisseur

Laboratoire de diagnostic en phytoprotection

Photographe

Bernard Drouin

Legende

Taches pourpres sur feuilles de fraisier

Credit

Pierre O. Thibodeau - MAPAQ
Fraise - Tache pourpre (Marssonina fragariae)_3

Fournisseur

Laboratoire de diagnostic en phytoprotection

Photographe

Chantal Malenfant

Legende

Taches pourpres sur feuille de fraisier

Credit

Laboratoire d'expertise et de diagnostic en phytoprotection - MAPAQ
Fraise - Tache pourpre (Marssonina fragariae)_4

Fournisseur

Laboratoire de diagnostic en phytoprotection

Photographe

Chantal Malenfant

Legende

Taches pourpres sur foliole de fraisier

Credit

Laboratoire d'expertise et de diagnostic en phytoprotection - MAPAQ
Fraise - Pourriture cuir (Phytophthora cactorum)

Fournisseur

Christian Lacroix

Photographe

Christian Lacroix

Legende

Fruits infectés par la pourriture amère.

Credit

Christian Lacroix - Fertior
Vigne (raisin) - Anthracnose (Elsinoe ampelina)

Fournisseur

Laboratoire de diagnostic en phytoprotection

Photographe

Claire Fecteau

Legende

Taches près des nervures sur feuille de vigne

Credit

Laboratoire d'expertise et de diagnostic en phytoprotection - MAPAQ
Vigne (raisin) - Anthracnose (Elsinoe ampelina)

Fournisseur

Laboratoire de diagnostic en phytoprotection

Photographe

Claire Fecteau

Legende

Taches près des nervures sur feuille de vigne

Credit

Laboratoire d'expertise et de diagnostic en phytoprotection - MAPAQ
Vigne (raisin) - Pourriture blanche (Coniella diplodiella)_1

Fournisseur

Laboratoire de diagnostic en phytoprotection

Photographe

Chantal Malenfant

Legende

Taches sur pétiole et tige d'un plant de vigne

Credit

Laboratoire d'expertise et de diagnostic en phytoprotection - MAPAQ